Property Detail

2218 Grant

Berkeley CA 94703

$3,200,000

Status: Active

Property Details

Description

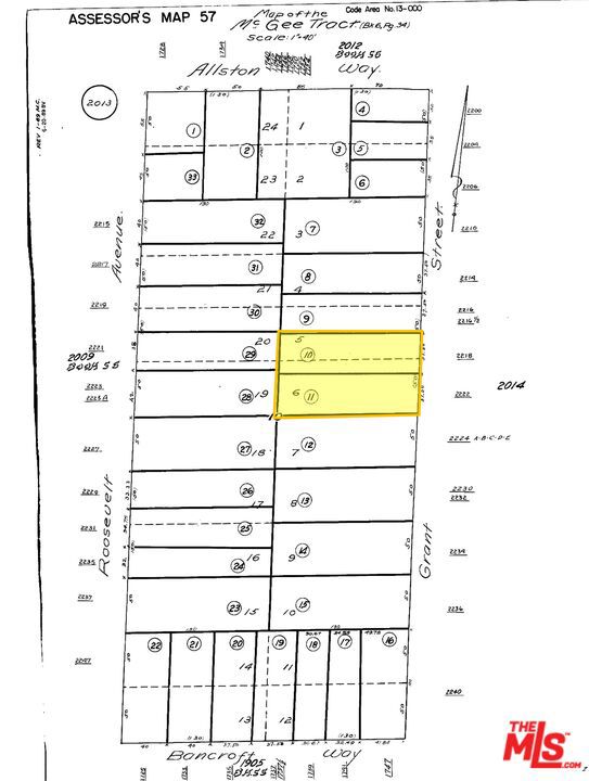
CENTRALLY LOCATED IN THE HEART OF BERKELEY FOR MODULAR CONTRACTORS, BUILDERS, AND INVESTORS. Vacant, adjacent land lots, 2218 & 2222 Grant St., zoned R-2 Berkeley Residence, recent zoning change allowing for more entitlements, offering an excellent redevelopment opportunity for Modular / Student Housing. The property provides a clean slate for development in a desirable area with strong housing demand. Ideal for investors and developers seeking proximity to local amenities and educational institutions, 0.6mi from UC Berkeley, one of the most prestigious schools in the country, and 0.5mi from the downtown Berkeley BART station, offering benefits from CA SB-79. Two vacant homes on 9,980 sq ft of land total between the two lots. This R-2 zoned site is eligible for significant new density under Berkeley's recently passed, Middle Housing Ordinance and when coupled with density bonus and proximity to mass transit (CA SB 79) a developer could build anywhere from 16 to 28 units in 3 to 6 stories without any parking. Height and density will be determined by affordable restrictions. There are no parking requirements for this site, as it's walking distance to UC Berkeley, retail and public transportation. This site is currently unentitled and provides a developer to design a project that takes advantage of Berkeley's recent changes in zoning. Rare, assembled development site in central Berkeley positioned to capitalize on California SB 79, which takes effect January 1, 2026. This legislation unlocks ministerial approval and unprecedented density for projects, like this one, within 1/2 mile of major transit, bypassing Berkeley's historically restrictive local zoning. APNS: 057-2013-010 & 057-2013-011

Map Location

Listing provided courtesy of David Kaufman of David Ballin Kaufman. Last updated 2026-05-04 08:24:21.000000. Listing information © 2025 CRMLS.

The Lineup

The Lineup

admin Real estate https://static.royacdn.com/Site-02ef49e0-f0f4-404c-8ad8-e40f9a412cfb/inside_pages/about_img.jpg realtor https://static.royacdn.com/Site-02ef49e0-f0f4-404c-8ad8-e40f9a412cfb/inside_pages/about_img.jpg