Property Detail

10000 E 87th

Lancaster CA 93535

$39,500

Status: Active

Property Details

Description

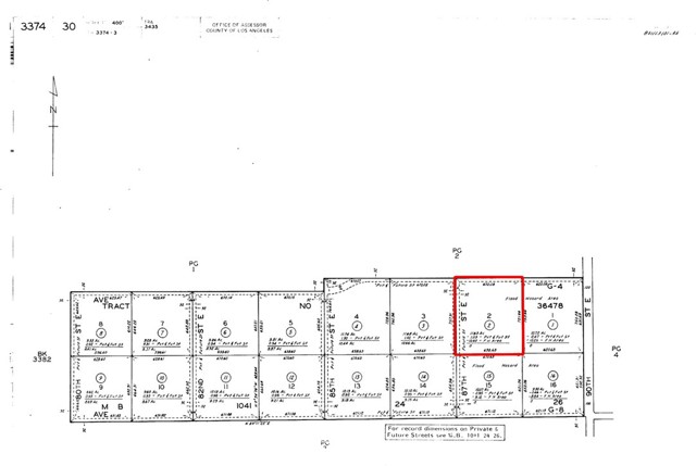
Discover the potential of this expansive 11.63-acre parcel, APN: 3374-030-002, Los Angeles County, located near paved 90th Street East and Avenue G-8 in the Roosevelt area of Northeast Lancaster. Surrounded by large, established farms, this property offers a wide-open setting ideal for agriculture, recreation, or long-term investment. Private roads are planned for 87th Street, creating future access opportunities and enhancing long-term value. With level terrain and proximity to nearby paved roads, the land provides a versatile canvas in a growing and opportunity-rich region of the Antelope Valley. Whether you’re looking to expand farming operations, create a rural retreat, or secure land for future development, this generous acreage delivers space, privacy, and strong potential. Please use neighbor's address, 8857 E Avenue G12, Lancaster, CA 93535 to get to the lot, GPS SE corner coordinates: 34.728741, -117.972087.

Map Location

Listing provided courtesy of Scott Vu of Nexus Commercial. Last updated 2025-11-20 09:21:39.000000. Listing information © 2025 CRMLS.

The Lineup

The Lineup

admin Real estate https://static.royacdn.com/Site-02ef49e0-f0f4-404c-8ad8-e40f9a412cfb/inside_pages/about_img.jpg realtor https://static.royacdn.com/Site-02ef49e0-f0f4-404c-8ad8-e40f9a412cfb/inside_pages/about_img.jpg