Property Detail

Redwood Rd

Oakland CA 94619

$550,000

Status: Active

Property Details

Description

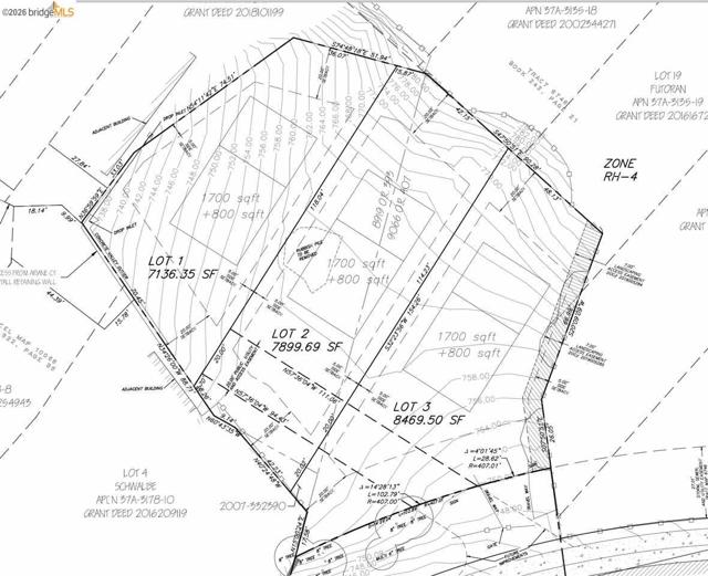
Over half an acre of gentle sloping land in the Oakland Hills. Build your dream home on beautiful lot with Pinto Playground, Leona Heights Park and Bay views nestled among multi million custom homes. An ideal for a financially qualified contractor who has experience and knowledge of hill constructions. Utilities are available at the street, none are onsite. Easy freeway access to San Francisco and the Peninsula. A great opportunity to build one or two custom homes with spectacular views. Zoning: In addition to the General Plan designation, the current Zoning District designation of the site is RH-4 (Hillside Residential, Zone 4), which is a low-density residential district. This district also allows some uses other than residential either by right or pursuant to approval of a Conditional Use Permit. Any future use would need to be evaluated pursuant to this classification.

Map Location

Listing provided courtesy of Natella Belicheva of Alpha Group Realty. Last updated 2026-03-02 09:21:40.000000. Listing information © 2025 CRMLS.

The Lineup

The Lineup

admin Real estate https://static.royacdn.com/Site-02ef49e0-f0f4-404c-8ad8-e40f9a412cfb/inside_pages/about_img.jpg realtor https://static.royacdn.com/Site-02ef49e0-f0f4-404c-8ad8-e40f9a412cfb/inside_pages/about_img.jpg