Property Detail

Comida Way

Topanga CA 90290

$59,000

Status: Active

Property Details

Description

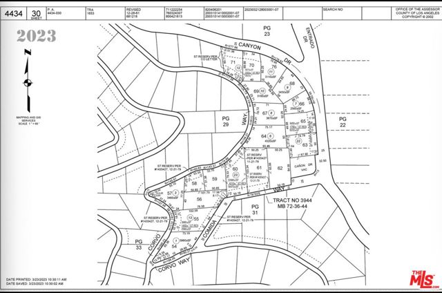
Builder opportunity in the heart of Topanga Canyon. Lot 57 on Comida Way offers approximately 3,582 square feet of hillside residential land within an established neighborhood of custom homes. Zoned LCR11L under Los Angeles County, this parcel presents potential for development of a single family residence subject to County review and approval.Located on a paved street with public water available through Los Angeles County Waterworks District No. 29 and utilities in the street. The property sits on the south side of Comida Way just west of Corvo Way, positioned to capture canyon and hillside surroundings.Ideal for builders experienced in hillside construction seeking a Topanga project with proximity to Malibu, Calabasas, and the Westside. Strong end buyer demand for custom canyon homes continues to support long term upside in this market.Buyer to independently verify zoning, slope density, geotechnical requirements, access, utilities, and all development standards with Los Angeles County.

Map Location

Listing provided courtesy of Sarah Emerson of Harcourts Encino Inc.. Last updated 2026-03-05 09:21:03.000000. Listing information © 2025 CRMLS.

The Lineup

The Lineup

admin Real estate https://static.royacdn.com/Site-02ef49e0-f0f4-404c-8ad8-e40f9a412cfb/inside_pages/about_img.jpg realtor https://static.royacdn.com/Site-02ef49e0-f0f4-404c-8ad8-e40f9a412cfb/inside_pages/about_img.jpg