Property Detail

Corvo Way

Topanga CA 90290

$119,000

Status: Active

Property Details

Description

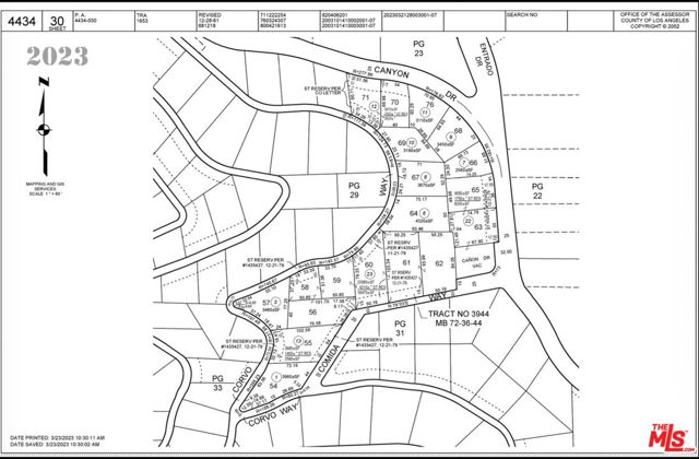
Builder opportunity in Topanga Canyon. Tract 3944, Lot 64 offers approximately 4,520 square feet of hillside residential land on the east side of Corvo Way, just south of Canon Drive. Zoned LCR11L under Los Angeles County, this parcel presents potential for development of a single family residence subject to County review and approval.Located on a paved residential street within an established neighborhood of custom homes. Public water is available through Los Angeles County Waterworks District No. 29. Utilities are in the street. The larger lot size compared to many surrounding parcels enhances design flexibility for experienced hillside builders.Ideal for developers seeking a Topanga infill project with proximity to Malibu, Calabasas, and the Westside. Buyer to independently verify zoning, slope density, geotechnical requirements, septic, utilities, and all development standards with Los Angeles County.

Map Location

Listing provided courtesy of Sarah Emerson of Harcourts Encino Inc.. Last updated 2026-03-05 09:21:03.000000. Listing information © 2025 CRMLS.

The Lineup

The Lineup

admin Real estate https://static.royacdn.com/Site-02ef49e0-f0f4-404c-8ad8-e40f9a412cfb/inside_pages/about_img.jpg realtor https://static.royacdn.com/Site-02ef49e0-f0f4-404c-8ad8-e40f9a412cfb/inside_pages/about_img.jpg