Property Detail

Hargrave

Banning CA 92220

$178,300

Status: Active

Property Details

Description

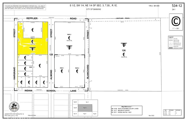
Large flat residential lot with mountain views in a well-established neighborhood, 1.29 acres with 3 way accesses from Hargrave St, Repplier Rd and Almond Way. Great potential with the possibility to be subdivided to multiple lots (buyer to verify with City of Banning). 2-3- minute drive to Fwy 10, commercials, schools and other amenities. Priced to sell.

Map Location

Listing provided courtesy of Jiqiu Rachel Mai of Realty Masters & Associates. Last updated 2026-03-06 09:21:13.000000. Listing information © 2025 CRMLS.

The Lineup

The Lineup

admin Real estate https://static.royacdn.com/Site-02ef49e0-f0f4-404c-8ad8-e40f9a412cfb/inside_pages/about_img.jpg realtor https://static.royacdn.com/Site-02ef49e0-f0f4-404c-8ad8-e40f9a412cfb/inside_pages/about_img.jpg